4 new species of water-gliding rove beetles discovered in Ningxia, China

Four new species from the Steninae subfamily of the large family of rove beetles (Staphylinidae) have been discovered in the Ningxia Autonomous Region, China, as part of an exploration of the insect fauna of the Liupan Shan Natural Reserve, where a large number of specimens has been collected. The expedition also yielded 11 new records for the Ningxia province of previously described Steninae species. The study was published in the open access, peer reviewed journal Zookeys.

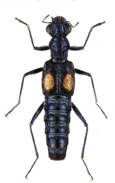
This picture shows the beautifully coloured newly described water gliding species, Dianous ningxiaensis.

(Photo Credit: Dr. Liang Tang)

The Ningxia Autonomous Region is mainly known as a dry, desert-like land. The region of the Liupan Shan Natural Reserve, however, is part of the Liupan Shan mountains, also known as the green pearl on the Loess Plateau. The area is also regarded as a "Kingdom of Animals" for its great biological diversity.

The rove beetle family, Staphylinidae, is one of the most widely distributed beetle families in the world. However, the representatives of the Steninae subfamily are of particular interest. These fascinating beetles are known for their unique ability to glide on the surface of water.This special skill is made possible through evolutionary adjustment allowing the production of special gland secretions that reduce surface tension.

This picture shows Dianous inaequalis inaequalis, one of the other species recorded in the paper, ready to jump in water to escape danger.

(Photo Credit: Dr. Liang Tang)

Out of the four newly described species two are from the genus Dianous, and as all representatives are experts in water gliding. The other two belong to the genus Stenus where this ability is only partly present. One of the species, Stenus liupanshanus lives in leaf litter and is therefore believed to not demonstrate the ability. However the other one, Stenus biwenxuani, was found on shore and is therefore considered to be a water glider.

Steninae are also specialist predators of small invertebrates such as collembola, which are frequently found in leaf litter. What is fascinating is the special hunting technique used by those beetles to catch their prey. Species in the genus Stenus can eject some of its mouth parts using blood pressure. The thin rod of the labium ends in a pair of pads with bristly hairs and hooks, called paraglossa, and between these hairs are small pores that exude an adhesive glue-like substance, which sticks to prey to secure a perfect catch and no escape.

Dr. Liang Tang from the Department of Biology, Shanghai Normal University, comments: "As far as the Steninae are concerned, Ningxia Autonomous Region is one of the most poorly explored regions, with merely two species being recorded until 2008. In the summer of 2008, a team surveyed the insect fauna of the Liupan Shan in southern Ningxia and collected a large number of Steninae. In this paper, we report the results of the study, which includes two new Stenus and two new Dianous species, and new province records for eleven Stenus species."

This picture shows the natural habitat of of the newly described Steninae species in the Liupan Shan Natural Reserve, Nixigia China.

(Photo Credit: Mr. Wen-Xuan Bi)

Source: Pensoft Publishers